みんなで石仏調査アーカイブ
Permalink:
https://archives.sekibutsu.info/40515
(
マップ
)
データ作成者:sekinema
データ作成日:2026年1月20日
©sekinema (Licensed under
CC BY 4.0
)
写真撮影日:2026年1月19日
緯度経度:36.17891, 139.768453
所在地:茨城県古河市下大野(8204)
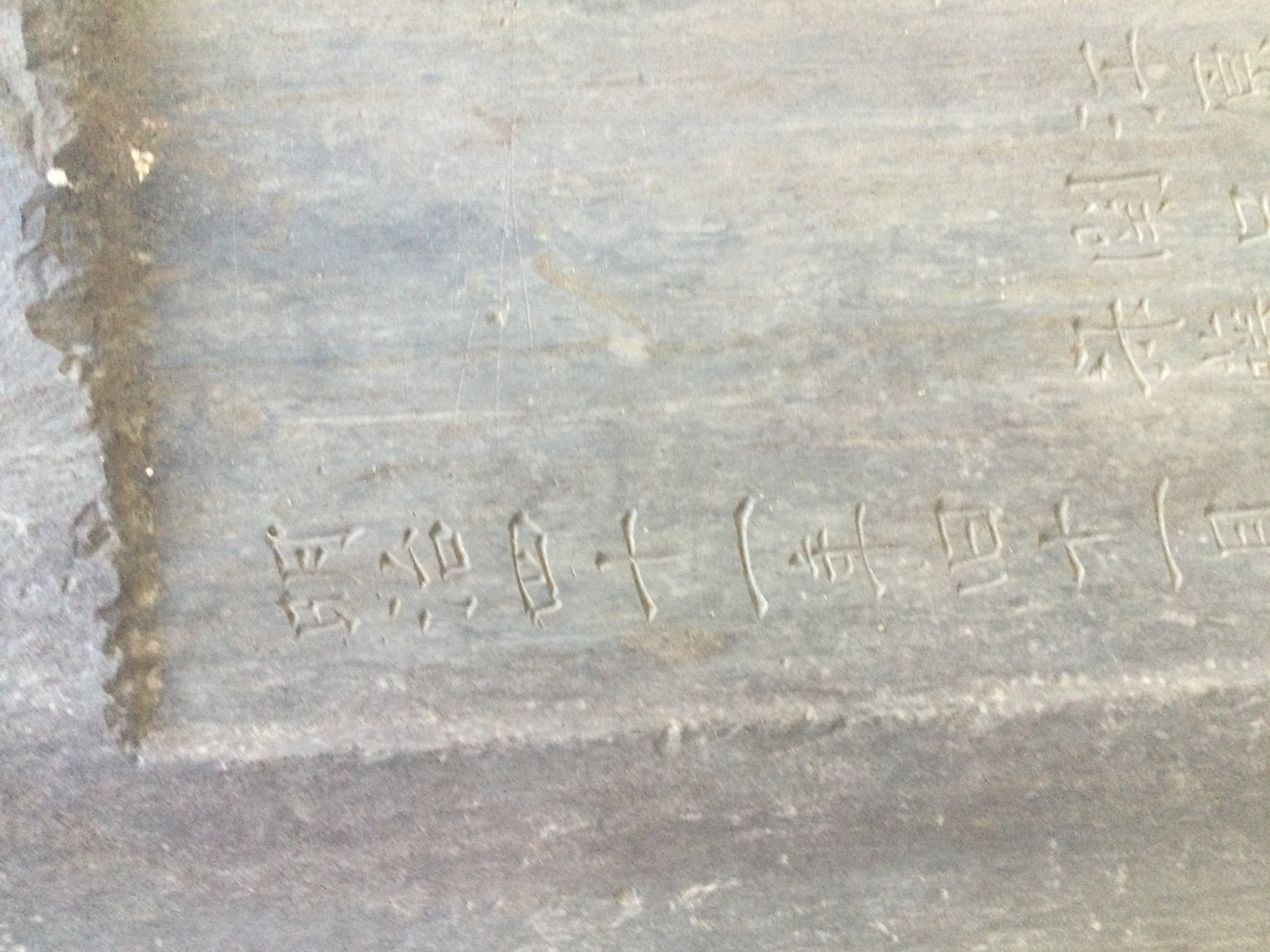
種類:十九夜塔
造立年(和暦):明治41
造立年(西暦):1908
像容(刻像):如意輪観音