みんなで石仏調査アーカイブ
Permalink:
https://archives.sekibutsu.info/28172
(
マップ
)
データ作成者:sekinema
データ作成日:2024年4月22日
©sekinema (Licensed under
CC BY 4.0
)
写真撮影日:2024年4月21日
緯度経度:35.923417, 140.02047
所在地:茨城県取手市米ノ井(8217)
場所:神明神社
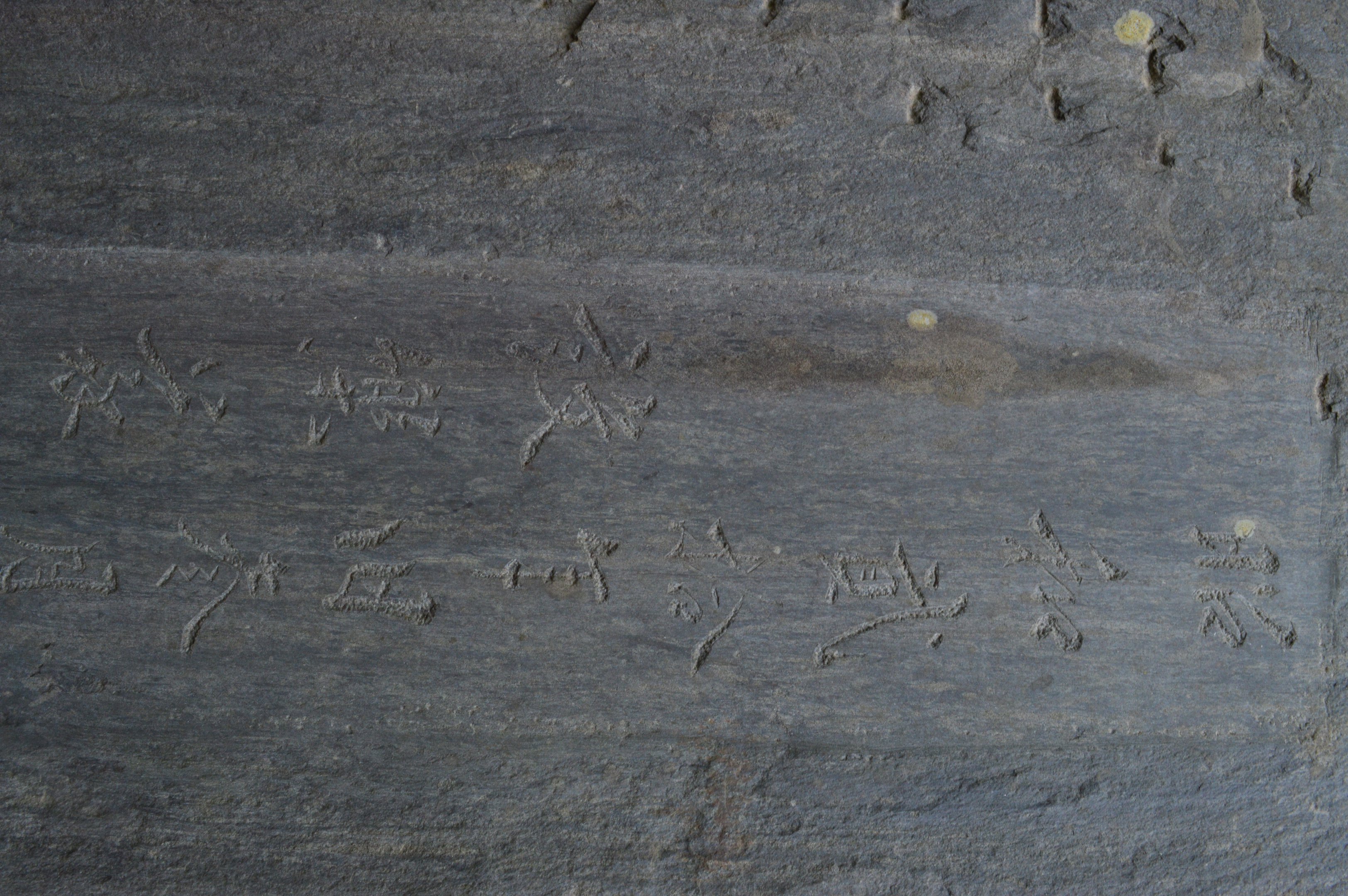
種類:庚申塔